Gemini şunu dedi:
Paylaştığın resmi belgeye dayanarak, özellikle bölge halkını ve ilgili sektörleri ilgilendiren teknik detayları sadeleştirerek hazırladığım haber taslağı aşağıdadır. Türkay Gazetesi'nin haber diline uygun şekilde, hem yerel hem de sektörel bir bakış açısıyla kurgulanmıştır.
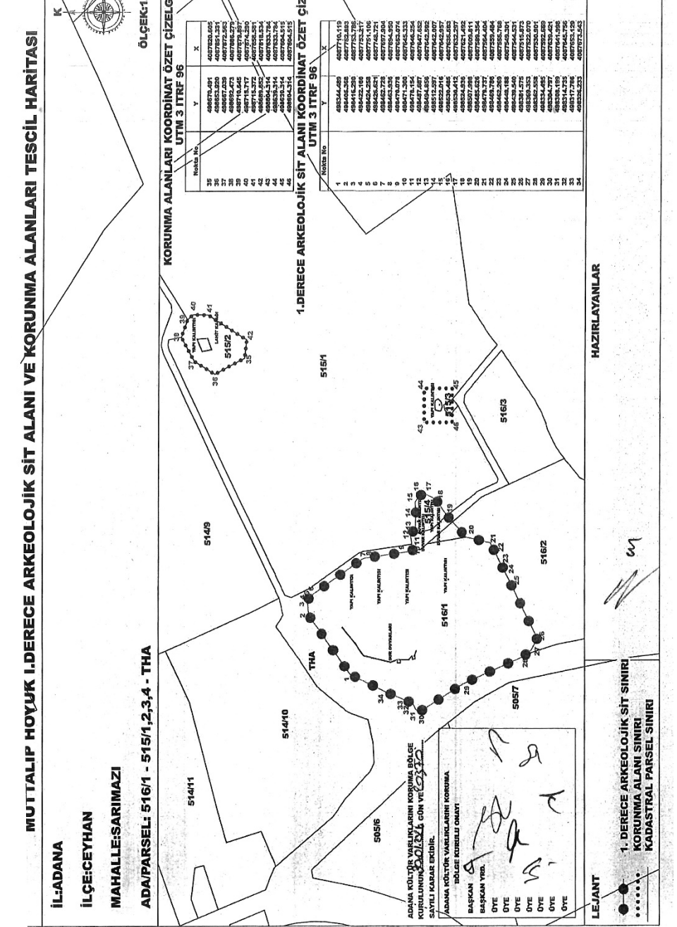
Adana Kültür Varlıklarını Koruma Bölge Kurulu, Ceyhan ilçesi Sarımazı Mahallesi sınırları içerisinde yer alan Muttalip Höyüğü 1. Derece Arkeolojik Sit Alanı ile ilgili önemli bir revizyon kararı aldı.
Adana Kültür Varlıklarını Koruma Bölge Kurulu’nun 30 Ocak 2026 tarihli toplantısında alınan karar doğrultusunda, bölgedeki sit alanı sınırları dijital dünyaya taşınarak (sayısallaştırılarak) güncellendi. Karar, bölgedeki sanayi tesislerini ve özel mülkiyetleri yakından ilgilendiriyor.
Sınırlar Revize Edildi, Bazı Alanlar İptal Edildi
Kurulun 20370 sayılı kararına göre, mülkiyeti Toros Tarım Sanayi ve Ticaret A.Ş.'ye ait olan parseller ile diğer özel ve tüzel mülkiyete ait alanlardaki Muttalip Höyüğü sınırları yeniden belirlendi. Harita üzerine aktarılan yeni düzenlemede öne çıkan başlıklar şunlar:
Korunma Alanı İptali: 515 ada 4 parselde bulunan korunma alanının iptaline karar verildi.
Dijital Kayıt: Sit alanının sınırları, modern haritacılık teknikleriyle sayısallaştırılarak resmi kayıtlara işlendi.
Yapı Grubu Belirlendi: Bölgedeki yapı grupları "1. Grup" olarak tescil edildi.
Geçiş Dönemi Şartları: Arkeolojik sit alanlarının korunma ve kullanma koşulları doğrultusunda belirlenen "Geçiş Dönemi Koruma Esasları ve Kullanma Şartları" kurul tarafından uygun bulundu.
